Regulační plán Kostelíčku - 2012

Zpátky
Regulační plán Kostelíčku - 2012

První májovou neděli se konala tradiční bohoslužba na Kostelíčku.

Po skončení bohoslužby se rozhodl pan doktor Josef Trávníček ve spolupráci se sdružením Líšeň sobě a líšeňskou farností připomenout historii a krásu vyhlášeného poutního místa. Skrze paměti a pověsti vzpomenout zašlou slávu, kdy se kolkolem rozprostíral bohatě založený třešňový sad čítající na pět tisíc stromů.

Počasí bylo bohužel jaksepatří májové a hrozilo neustále deštěm. Ani chladný vítr neodradil více jak čtyřicet posluchačů, které zaujalo vyprávění a čtení o Kostelíčku.

V druhé půli podvečera představila paní Martina Svobodová-Lacinová naštěstí nerealizované výstavby sídliště na Kostelíčku v 80. letech minulého století. Opatřila k nahlédnutí i tehdejší plány a zavzpomínala na svého pana otce, který se tehdy aktivně postavil proti výstavbě.

Vzápětí jsem byl vyzván, abych představil současný stav. Platný územní plán schválený v roce 1994 umožňuje území částečně zastavět. Upozornil jsem posluchače na existenci architektonické studie a následně pořízeného regulačního plánu, který závazně stanovuje, jak může být lokalita Kostelíček zastavěna. V souvislosti s výše uvedeným jsem byl požádán o zveřejnění schváleného regulačního plánu Kostelíček, který zastupitelstvo MČ Brno-Líšeň schválilo v roce 2002. Dále jsem představil stanovisko samosprávy k novému územnímu plánu. Avšak musím připomenout, že stanovisko zastupitelstva MČ Brno-Líšeň má pouze doporučující charakter a tudíž není závazné pro město Brno, které je pořizovatelem územního plánu.

Zastupitelstvo MČ Brno-Líšeň doporučilo, aby byla tato kulturní památka chráněna jako výrazná dominanta města Brna. Jde tedy především o to, aby budoucí zástavba nenarušila vzhled této jedinečné lokality (viz připomínka samosprávy ke Kostelíčku zde). Nebyla doporučena žádná varianta, která by umožnila výstavbu nad rámec platného územního plánu.

Možnost vyjmout stávající pozemky ze stavebních ploch a jejich změna na nestavební je nestandartní proces. Navíc spojený s finančními sankcemi a soudními spory o náhradu. Z pohledu práva by došlo k znehodnocení pozemků a obec by musela uhradit rozdíl ceny pozemků.

Závěr večera měl být zpestřen promítáním dokumentu o Líšni z roku 1939. Velká národopisná slavnost, film Rajmunda Langera, organizovaná Františkem Svobodou dne 20. srpna 1939.

Plátno i technika byly připraveny. Nicméně počasí neumožnilo další pokračování akce a tedy i promítání.

Zveřejněním materiálů a podkladů plním svůj příslib občanům, kteří projevili zájem seznámit se podrobně s regulačním plánem Kostelíčku .

 

Břetislav Štefan, starosta

 

Architektonická studie a regulační plán :

1. Regulační plán č. 1
2. Regulační plán č. 2
3. Regulační plán č. 3
4. Regulační plán č. 3.1
5. Regulační plán č. 3.2
6. Regulační plán č. 3.3
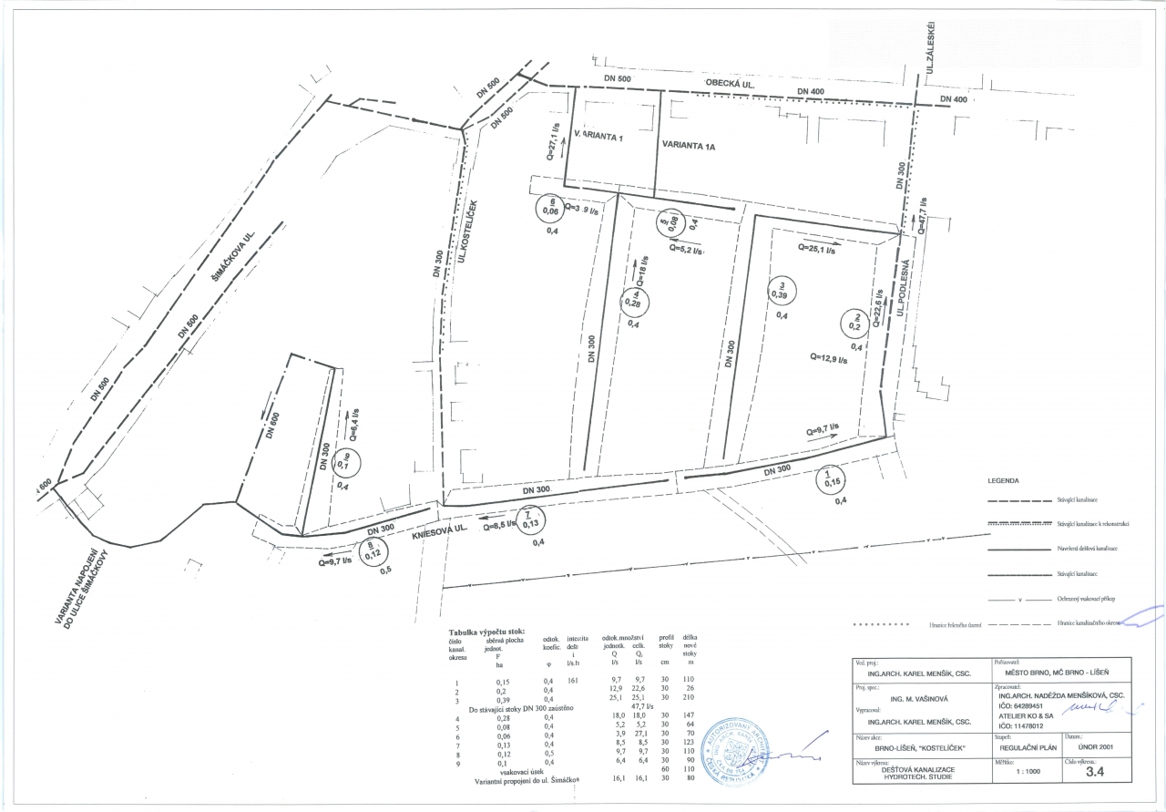
7. Regulační plán č. 3.4
8. Regulační plán č. 3.5
9. Regulační plán č. 3.6
10. Regulační plán č. 3.7
11. Regulační plán č. 3.8
12. Regulační plán č. 4

13. Regulační plán č. 5
14. Regulační plán č. 7
15. Regulační plán č. 9
16. Regulační plán č. 12

 


1. Návrh etapizace
2. Návrh regulantivů
3. Příčné řezy
4. Širší vztahy
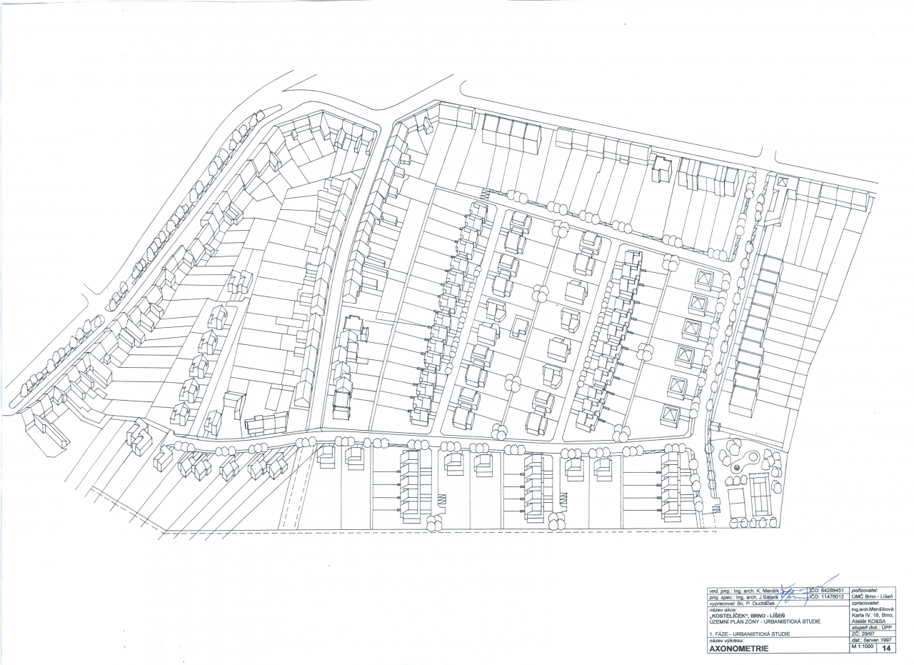
5. Axonometrie
6. Změny funkčího využití
7. Spoje, dálkové kabely
8. Doprava
9. Elektrická energie
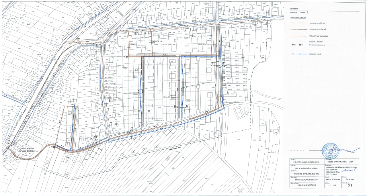
10. Voda, kanalizace
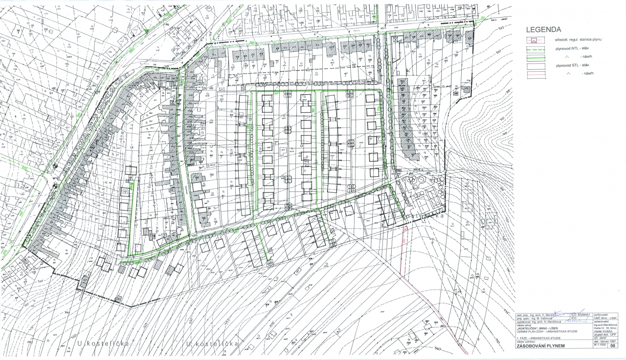
11. Zásobování plynem
12. Zásobování plynem - širší vztahy
13. Zeleň

14. Zemědělská příloha
15. Urbanistická studie Habří

16. Územní plán města Brna - legenda

 


1. Fotografie č. 1
2. Fotografie č. 2
3. Fotografie č. 3

 

Související články

Regulační plán Kostelíček 11. 3. 2020 Kostelíček Projekty MČ
Územní opatření o stavební uzávěře Lokalita Kostelíček 19. 3. 2018 Kostelíček Projekty MČ
Brněnské zastupitelstvo schválilo zadání regulačního plánu Kostelíček 1. 2. 2017 Kostelíček Projekty MČ
Tady nestavět. Kostelíček se vyhne zásahům 15. 12. 2016 Kostelíček
Kostelíček by měla ochránit stavební uzávěra 1. 12. 2016 Kostelíček
Představení návrhů studentských prací VUT fakulty architektury na lokalitu Kostelíček. 21. 10. 2016 Kostelíček
Lokalita Kostelíček - veřejná debata 5. 9. 2016 Kostelíček
Návrh zadání Regulačního plánu Kostelíček, Brno-Líšeň 13. 5. 2016 Kostelíček
1 2
Poslední úprava: 15. 5. 2012.
Kontakt:

Zašlete nám dotaz k této stránce nebo informace pro její doplnění: